Experience Makes A Difference
+17788833264
realtor phone number +1 (778) 883-3264
agent realty RE/MAX CREST REALTY
+17788833264
realty logo
409 A Grenfell Grand Falls-Windsor, Newfoundland & Labrador A2A2J2, Grand Falls-Windsor , A2A2J2
Listing ID: 1275984
Share
$159,900
Price
Data last updated: March 25, 2026 at 09:13pm
Quick Access
Photos
Video
360 Tour
Map

Property Description

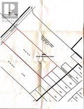
With such a housing shortage these 7 plus acres of land are just waiting for the right developer to come along and turn this land into something useful! Not only are people looking for places to rent, they are looking for land to build. This land is filled with endless possibilities for someone with the vision to develop it - seniors cottages, rental units, single family units, duplexes, row houses, ....you name it you can have it here. If you want peace and quiet, while still living within the town limits, build your dream home here and enjoy the privacy this lot has to offer. Keep it all for yourself! It's up to you to decide. Town water is available to the site and access is via a 33ft wide road reservation off Grenfell Heights. Begin developing this land today! (id:26452)

Other located at 409 A Grenfell Grand Falls-Windsor, Newfoundland & Labrador A2A2J2. 409 A Grenfell Grand Falls-Windsor, Newfoundland & Labrador A2A2J2 is in the Grand Falls-Windsor neighborhood.
Show More keyboard_arrow_down


Agent Contact: Paula Grimes-Butler Phone: +17095728258
Listing Courtesy of: Outport Realty Inc. - Grand Falls-Windsor
Source: crea , MLS#: 1275984 Agent Contact: Sean Marshall Phone: 702-990-0808
Listing Courtesy of: Valleywide Realty & Investment
Source: crea , MLS#: 1275984

close
Saeed Farahani Bsc Eng,MBA
+17788833264

Here to help with your Real Estate inquiries

Saeed Farahani Bsc Eng,MBA
+17788833264
chat
Message
By sharing this listing, you have agreed with roomvu's terms and conditions of usage
$3,703.37
Monthly
$878,400
Total Mortgage
$219,600
Down Payment